Buddy and Hip Dysplasia

Some dogs just seem to have way more than their fair share of bad
luck and Buddy is a prime example. This incredibly happy
crossbreed was only a few months old when he was diagnosed with
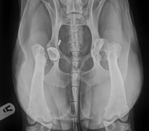
severe hip dysplasia affecting both hips. He had a Total Hip
Replacement performed early in 2019 but this unfortunately failed
and had to be removed. He seemed to do okay but in early 2020
following a period of forelimb lameness he was diagnosed with
bilateral Humeral Intercondylar Fissures. The elbows underwent a
protective procedure with the placement of Transcondylar Screws and again he seemed to do well until
the lameness returned due to the development of severe
osteoarthritis in the left hip and both elbows. Buddy’s management
plan wasn’t enough to keep him comfortable, so he was admitted to
the clinic in May 2023 for injection with Mesenchymal Stem Cells.
Just a few weeks later he had gone from shuffling to strutting and
has been doing well ever since! It is important to note that no intra-
articular approaches will cure or ‘fix osteoarthritis, but they can be
tremendously powerful in management of pain and improving
quality of life.

Buddy before treatment at MSK Vets

Buddy after treatment

Follow our socials

©Copyright Nupsala MSK 2024

Created by Codesky