Hip Dysplasia in Dogs

Helping dogs move comfortably and enjoy life

Hip dysplasia is a common developmental condition in dogs where the hip joint is too loose. Instead of a snug ball-and-socket fit, there is excessive movement, which can lead to inflammation, pain, and arthritis over time.

Large breed dogs are most commonly affected, but any dog can develop hip dysplasia. Signs may appear as early as a few months old or later in life as the joint wears down. Early signs often include:

  • Swaying or awkward gait.
  • Reluctance to jump or climb stairs.
  • Changes in activity or behaviour.

Even if your dog seems to be coping, underlying joint changes can eventually lead to arthritis and reduced mobility.

How We Treat Hip Dysplasia?

At MSK Vets, our goal is to reduce pain, improve mobility, and maintain quality of life.

Non-surgical management

  • Most cases are managed without surgery, using strategies similar to arthritis management.
  • Treatments may include pain relief, joint supplements, and weight management {link}
  • Novel therapies such as hydrogel, platelet-rich plasma (PRP), or stem cell injections can reduce inflammation and improve comfort. {Link}

Surgical options

  • In some young dogs, early surgical procedures may slow joint wear.
  • Severe cases affecting both hips may benefit from Total Hip Replacement, performed by specialist surgeons.

Gait analysis & monitoring

  • Early assessment using gait analysis can help track mobility and guide the best management strategies.

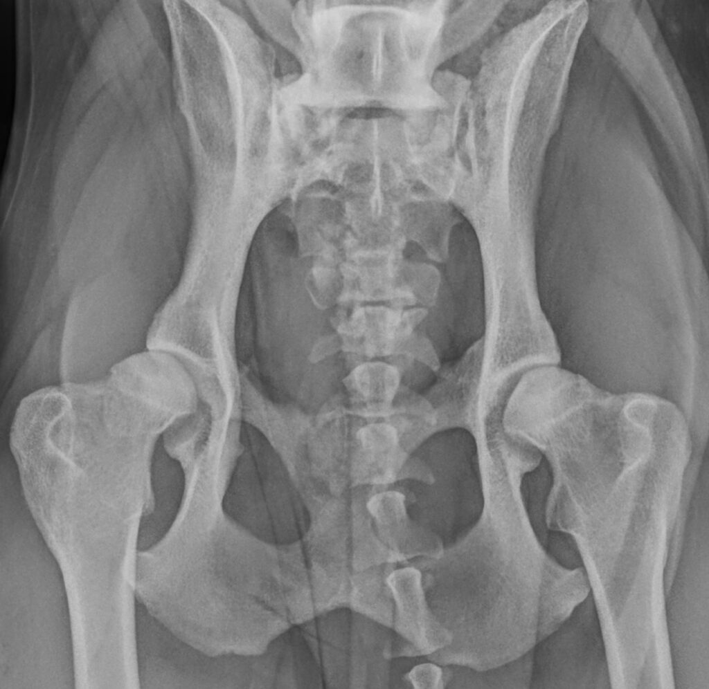
Understanding the hip joint

  • Normal hip: a well-shaped femoral head (ball) sits snugly in the pelvis (socket), allowing smooth, even weight-bearing.
  • Dysplastic hip: a shallow socket or deformed femoral head causes uneven loading, inflammation, and eventually arthritis.

Early recognition and a tailored care plan can make a significant difference in your dog’s life, keeping them active, comfortable, and happy for years to come.

©Copyright Nupsala MSK 2024

Created by Codesky